您现在所在的位置 : 首页 > 汕尾市自然资源局 > 通知公告
建设用地规划许可证批前公示(汕尾市文化中心项目)
  • 2022-09-06 15:02
  • 来源: 本网
  • 发布机构: 汕尾市自然资源局
  • 【字体:    

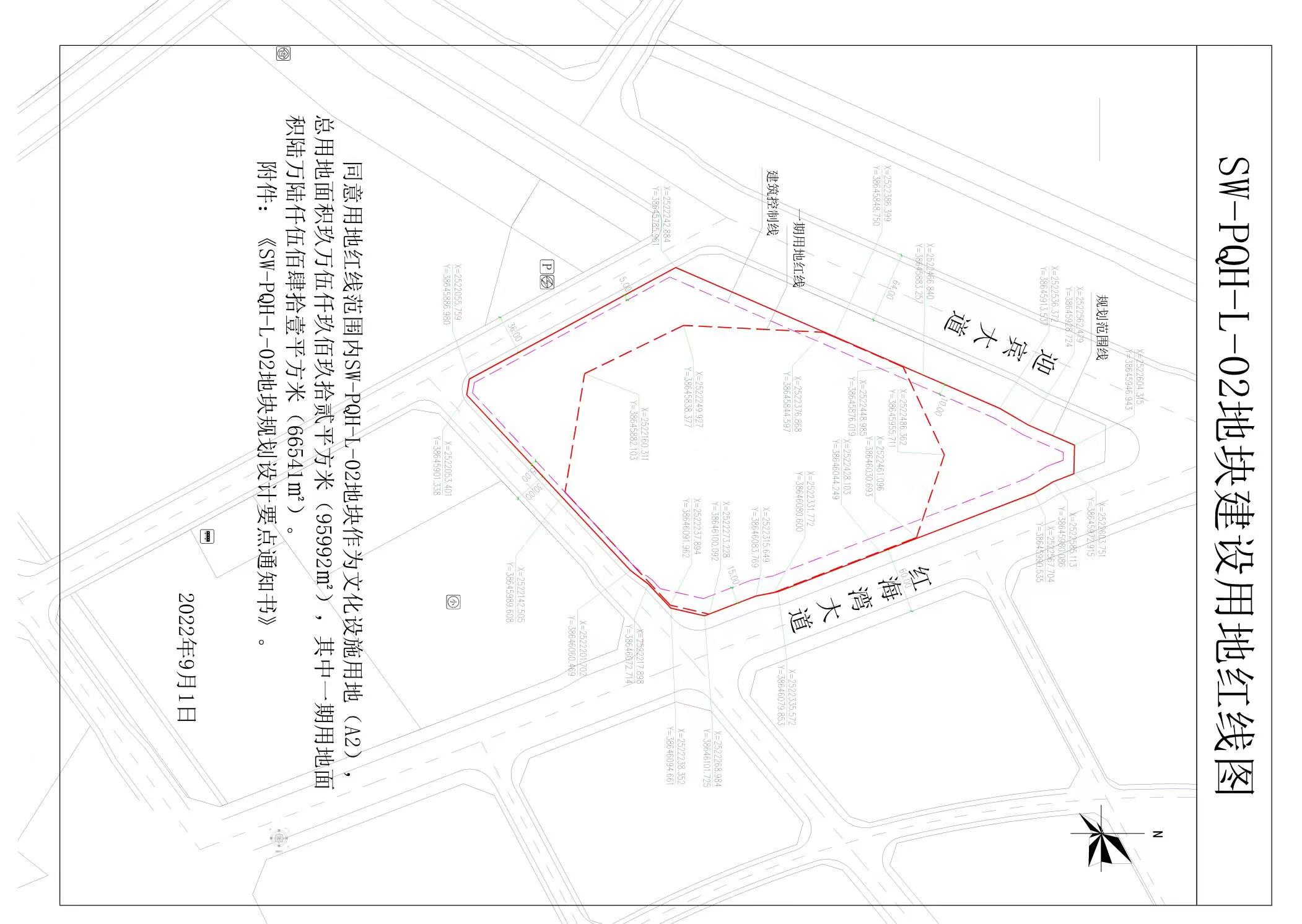
  经2022年8月31日市政府非农建设用地会审会审议,同意将位于汕尾市区迎宾大道东侧、红海湾大道以南面积为66541㎡的土地,规划安排给汕尾市文化广电旅游体育局作为汕尾市文化中心项目(公共文化设施项目)建设用地。现拟核发该项目的建设用地规划许可证手续。依照《广东省城乡规划条例》第二十九条的有关规定,对相关事项公示如下:

  项目名称:汕尾市文化中心项目(公共文化设施项目)。

  用地位置:汕尾市区迎宾大道东侧、红海湾大道以南。

  用地性质:文化设施用地(A2)。  

       用地面积:66541㎡。   

       汕尾市文化中心项目(公共文化设施项目)建设用地规划许可证的具体内容,可到我局咨询或登录网站(//m.envoykitchen.com/swgtj)查询。相关利益人如果对用地规划许可有意见,可在公示之日起十日内,依照有关规定向我局提出申述,逾期未提出的,视为放弃上述权利。         

      特此公示    

      联系人: 陈先生    联系电话:0660-3377096


  附:SW-PQH-L-02地块建设用地红线图.jpg




                                                                                                                                                                                                     汕尾市自然资源局

                                                                                                                                                                                                  2022年9月6日 


关联稿件:
相关附件:
扫一扫在手机打开当前页

您访问的链接即将离开“汕尾市自然资源局”网站,是否继续?

Baidu
map